본문 바로가기

메뉴 바로가기

푸터 바로가기

생물종 상세정보

세줄박이맵시벌

Diphyus akaashii (Uchida, 1955)

1/3
  • cloud_download 전체다운로드
  • file_download 다운로드
  • add_circle 확대
  • remove_circle 축소
Thumbnail 1
Thumbnail 2
Thumbnail 3
세줄박이맵시벌

Diphyus akaashii (Uchida, 1955)

1/3
  • cloud_download 전체다운로드
  • file_download 다운로드
  • add_circle 확대
  • remove_circle 축소
Thumbnail 1
Thumbnail 2
Thumbnail 3
세줄박이맵시벌

Diphyus akaashii (Uchida, 1955)

1/3
  • cloud_download 전체다운로드
  • file_download 다운로드
  • add_circle 확대
  • remove_circle 축소

세줄박이맵시벌 Diphyus akaashii (Uchida, 1955)

분류체계
Animalia > Arthropoda (절지동물문) > Hexapoda (육각아문) > Insecta (곤충강) > Hymenoptera (벌목) > Apocrita (벌아목) > Terebrantes (기생벌하목) > Ichneumonoidea (맵시벌상과) > Ichneumonidae (맵시벌과) > Ichneumoninae (맵시벌아과) > Ichneumonini > Diphyus (세줄박이맵시벌속) > akaashii (세줄박이맵시벌)
이명정보
[원기재명]
Amblyteles trifasciatus akaashii Uchida, 1955

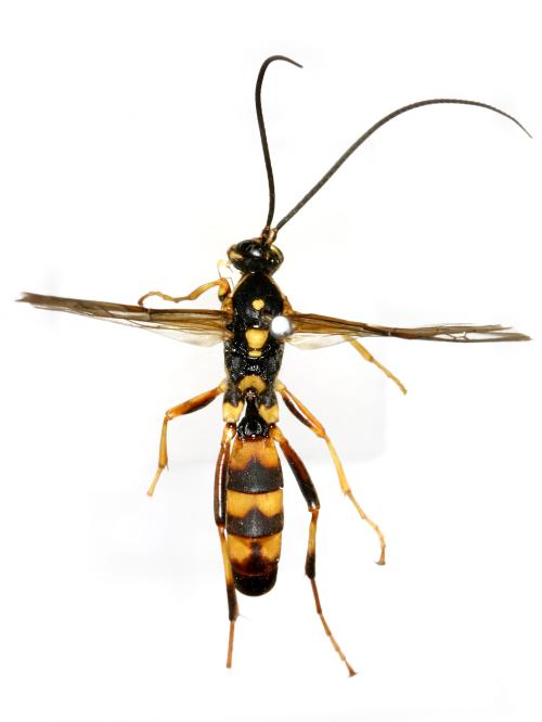
어른벌레는 7~8월경에 출현하여 씨자무늬거세미나방 등의 밤나방류 애벌레에 알을 낳아 애벌레를 먹이는 기생포식성 벌이다. 몸길이는 약 15mm 정도의 중소형종으로 몸은 전체적으로 검은색이나 노란색 무늬가 전체적으로 산재해 있으며, 특히 이마방패와 제4~7배마디는 적갈색을 띠는 것이 특징이다. 세계적으로 타이완, 한국 등 동아시아 지역에 제한적으로 분포하는 종이나, 국내에서는 전국에 서식한다. [저작재산권자]

  • 중국, 일본 [1]

    전국 [1]

  • [1] 국립생물자원관(2012), 한반도생물자원포털

분포지역

지도크게보기 add
  • Scientific name
    Classification
    Rank
    Status
    Distributions
    Published in
    Description
    Citation
    Scientific name
    Classification
    SpecificEpithet
    Rank
    Status
    Authorship
    Genus
    Link
  • 그림 (0건)

    등록된 그림이 없습니다.

    동영상 (0건)

    등록된 동영상이 없습니다.

    소리 (0건)

    등록된 소리가 없습니다.
  • 효능예측정보 (총 0건)

    효능실험정보
    No. 화학기호 효능예측정보 화학식 CAS번호 분자량
    관련된 효능예측정보가 없습니다.

    효능실험정보 (총 0건)

    효능실험정보
    No. 효능분류 시험분류 실험제목
    관련된 효능실험정보가 없습니다.

    논문 (총 0건)

    논문
    No. 논문명 저자 저널명 발행년도
    관련된 논문정보가 없습니다.

    특허 (총 0건)

    특허
    No. 출원명 발명자 출원일자
    관련된 특허정보가 없습니다.

    전통지식(문헌/구전) (총 0건)

    전통지식(문헌/구전)
    No. 구분 이용용도 이용지식
    관련된 전통지식정보가 없습니다.
  • 표본 (총121건)

    표본
    표본번호 학명/국명 채집지/채집일 표본유형 표본 점수
    NIBRIN0000255624 Diphyus akaashii (Uchida, 1955)" / 세줄박이맵시벌 강원도 평창군... 능경봉 / 2009-07-10 액침표본 1건
    NIBRIN0000373929 Diphyus akaashii (Uchida, 1955)" / 세줄박이맵시벌 경상북도 의성... / 2006-05-07 건조표본 1건
    NIBRIN0000373931 Diphyus akaashii (Uchida, 1955)" / 세줄박이맵시벌 경상북도 의성... / 2006-05-07 건조표본 1건
    NIBRIN0000373932 Diphyus akaashii (Uchida, 1955)" / 세줄박이맵시벌 경상북도 의성... / 2006-05-07 건조표본 1건
    NIBRIN0000373935 Diphyus akaashii (Uchida, 1955)" / 세줄박이맵시벌 경상남도 창원... / 2006-05-17 건조표본 1건
    NIBRIN0000373936 Diphyus akaashii (Uchida, 1955)" / 세줄박이맵시벌 경상남도 창원... / 2006-05-17 건조표본 1건
    NIBRIN0000373937 Diphyus akaashii (Uchida, 1955)" / 세줄박이맵시벌 경상남도 창원... / 2006-05-17 건조표본 1건
    NIBRIN0000373938 Diphyus akaashii (Uchida, 1955)" / 세줄박이맵시벌 경상남도 창원... / 2006-05-17 건조표본 1건
    NIBRIN0000373939 Diphyus akaashii (Uchida, 1955)" / 세줄박이맵시벌 경상남도 창원... / 2006-05-17 건조표본 1건
    NIBRIN0000373940 Diphyus akaashii (Uchida, 1955)" / 세줄박이맵시벌 경상남도 창원... / 2006-05-17 건조표본 1건

    소재 (총24건)

    소재
    표본번호 학명/국명 채집지/채집일 표본유형 표본 점수
    NIBRGR0000055707 Diphyus akaashii (Uchida, 1955) / 세줄박이맵시벌 전라북도 정읍... / 2005-06-20 DNA 1건
    NIBRGR0000182998 Diphyus akaashii (Uchida, 1955) / 세줄박이맵시벌 충청북도 단양... 남천계곡 / 2006-05-25 DNA 1건
    NIBRGR0000431248 Diphyus akaashii (Uchida, 1955) / 세줄박이맵시벌 강원도 원주시... 치악산 / 2016-06-18 조직 1건
    NIBRGR0000431249 Diphyus akaashii (Uchida, 1955) / 세줄박이맵시벌 강원도 원주시... 치악산 / 2016-06-18 조직 1건
    NIBRGR0000431250 Diphyus akaashii (Uchida, 1955) / 세줄박이맵시벌 강원도 원주시... 치악산 / 2016-06-18 조직 1건
    NIBRGR0000431251 Diphyus akaashii (Uchida, 1955) / 세줄박이맵시벌 강원도 원주시... 치악산 / 2016-06-18 조직 1건
    NIBRGR0000431252 Diphyus akaashii (Uchida, 1955) / 세줄박이맵시벌 강원도 원주시... 치악산 / 2016-06-18 조직 1건
    NIBRGR0000433924 Diphyus akaashii (Uchida, 1955) / 세줄박이맵시벌 강원도 춘천시... / 2018-07-10 조직 1건
    NIBRGR0000611679 Diphyus akaashii (Uchida, 1955) / 세줄박이맵시벌 강원도 춘천시... / 2018-07-10 DNA 1건
    NIBRGR0000634690 Diphyus akaashii (Uchida, 1955) / 세줄박이맵시벌 강원도 원주시... 치악산 / 2016-06-18 DNA 1건
  • 염기서열 (1건)

    염기서열
    학명 국명 마커명 프라이머세트명 출처
    Diphyus akaashii (Uchida, 1955) 세줄박이맵시벌 COI LepF1/LepR1 국립생물자원관

    계통수 (0건)

    계통수
    연구제목 마커명 노드수
    조회된 자료가 없습니다.

    미토콘드리아 유전체 (0건)

    계통수
    학명 국명 설명 길이
    조회된 자료가 없습니다.

    엽록체 유전체 (0건)

    엽록체
    학명 국명 설명 길이
    조회된 자료가 없습니다.
    SNP
    학명 국명 설명 길이
    조회된 자료가 없습니다.

    Microsatellite (0건)

    전체
    분류 제목 설명 길이
    조회된 자료가 없습니다.
    • 조회된 데이터가 없습니다.

      -

dictionary icon용어 사전

출처 :