생물종 상세정보
chevron_left
chevron_right
- cloud_download 전체다운로드
- file_download 다운로드
- add_circle 확대
- remove_circle 축소
chevron_left
chevron_right
- cloud_download 전체다운로드
- file_download 다운로드
- add_circle 확대
- remove_circle 축소
chevron_left
chevron_right
- cloud_download 전체다운로드
- file_download 다운로드
- add_circle 확대
- remove_circle 축소
분류체계
Animalia
>
Arthropoda
(절지동물문)
>
Hexapoda
(육각아문)
>
Insecta
(곤충강)
>
Orthoptera
(메뚜기목)
>
Caelifera
(메뚜기아목)
>
Acrididea
>
Acridoidea
(메뚜기상과)
>
Acrididae
(메뚜기과)
>
Oedipodinae
(풀무치아과)
>
Locustini
>
Locusta
(풀무치속)
>
migratoria
>
migratoria
(풀무치)
이명정보
[원기재명]
Gryllus (Locusta) migratorius Linnaeus, 1758
[학명이명]
Pachytylus australis Saussure, 1884
Locusta cinerascens Fabricius, 1781
Pachytylus cinerascens (Fabricius, 1781)
Locusta danica
Locusta migratoria danica
Gryllus (Locusta) danicus Linnaeus, 1767
Locusta gallica Remaudière, 1947
Locusta migratoria (Linnaeus, 1758)
Pachytylus migratorius (Linnaeus, 1758)
Locusta migratoria migratoria remaudierei Harz, 1962
Locusta rossica Uvarov and Zolotarevsky, 1929
Locusta migratoria solitaria Carthy, 1955
Gryllus (Locusta) migratorius Linnaeus, 1758
[학명이명]
Pachytylus australis Saussure, 1884
Locusta cinerascens Fabricius, 1781
Pachytylus cinerascens (Fabricius, 1781)
Locusta danica
Locusta migratoria danica
Gryllus (Locusta) danicus Linnaeus, 1767
Locusta gallica Remaudière, 1947
Locusta migratoria (Linnaeus, 1758)
Pachytylus migratorius (Linnaeus, 1758)
Locusta migratoria migratoria remaudierei Harz, 1962
Locusta rossica Uvarov and Zolotarevsky, 1929
Locusta migratoria solitaria Carthy, 1955
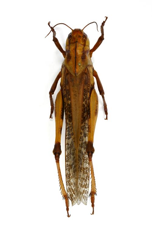
수컷에 비해 암컷의 몸집이 크다. 눈 뒤에서 머리 끝까지 이어지는 짧은 황색 띠무늬가 있다. 큰턱 주변은 푸른색이다. 앞날개는 장시형으로 뒷무릎을 넘으며 복잡한 얼룩무늬가 흩어져 있다. 뒷날개는 투명하고 연한 황색이며 띠무늬가 없다. 앞가슴등판 전반부는 후반부보다 길며, 세로융기선이 분명하다. 가슴판 아래에는 흰 털이 많이 나 있다. 후경절은 붉은색 또는 황색이다. 배 첫째마디의 고막이 크게 발달하였다. 수컷은 암컷에 비해 전퇴절과 중퇴절이 굵다. 녹색형과 갈색형이 있다. 약충은 콩중이와 비슷하지만 세로융기선이 높이 솟지 않는다. 큰 무리를 지어 다니는 군거형은 회갈색 또는 황갈색이며, 뒷다리가 짧아지고 날개가 길어지는 형태변화가 일어난다. 군거형 약충은 갈색에 몸 윗면은 흑갈색으로 변한다. 가까운 거리에 다른 개체가 있거나 천적에게 잡혔을 때 뒷다리 안쪽과 날개맥을 비벼 소리를 낸다. 서울시 관리야생동식물로 지정되어 있다. 성충은 6~11월, 연 1~2회 출현한다. 산지의 양지바른 풀밭이나 강변에 서식한다. 우리나라 전국과 해외로는 구북구 전역과 아프리카까지 널리 분포한다. [저작재산권자]
-
-
-
[1] 국립생물자원관(2019), 이미지 기반 생활 속 곤충 찾기 서비스 구현
-
분포지역
지도크게보기-
GBIF
Scientific name Classification Rank Status Distributions Published in Description Citation Scientific name Classification SpecificEpithet Rank Status Authorship Genus Link -
사진 (7건)
그림 (0건)
등록된 그림이 없습니다.동영상 (0건)
등록된 동영상이 없습니다.소리 (0건)
등록된 소리가 없습니다. -
효능예측정보 (총 0건)
효능실험정보 No. 화학기호 효능예측정보 화학식 CAS번호 분자량 관련된 효능예측정보가 없습니다. 효능실험정보 (총 0건)
효능실험정보 No. 효능분류 시험분류 실험제목 관련된 효능실험정보가 없습니다. 논문 (총 11건)
논문 No. 논문명 저자 저널명 발행년도 1 An updated and validated model for predicting the performance of a biological control agent for the oriental migratory locust. [Elizabeth A Finch, Hongmei Li, Alex Cornelius, Jon Styles, Joe Beeken, Yumeng Cheng, Guangjun Wang, Guiguang Qiu, Belinda Luke] Pest management science 2024 2 RNAi-mediated silencing of the neverland gene inhibits molting in the migratory locust, Locusta migratoria. [Jia Lv, Qi-Hui He, Peng Shi, Feng Zhou, Ting-Ting Zhang, Min Zhang, Xue-Yao Zhang] Pesticide biochemistry and physiology 2024 3 Exploiting <i>Locusta migratoria</i> as a source of bioactive peptides with anti-fibrosis properties using an <i>in silico</i> approach. [Carla S S Teixeira, Rita Biltes, Caterina Villa, Sérgio F Sousa, Joana Costa, Isabel M P L V O Ferreira, Isabel Mafra] Food & function 2023 4 An impact evaluation of conservation investments targeting long-distance migratory species. [C Josh Donlan, Diana Eusse-González, Gloria M Luque, Matthew E Reiter, Viviana Ruiz-Gutierrez, Michael C Allen, Richard Johnston-González, Orin J Robinson, Guillermo Fernández, Eduardo Palacios, Jorge Valenzuela] Conservation biology : the journal of the Society for Conservation Biology 2023 5 Integration of dsRNA against host immune response genes augments the virulence of transgenic Metarhizium robertsii strains in insect pest species. [Yulong Wang, Xiangyun Xie, Li Qin, Deshui Yu, Zhangxun Wang, Bo Huang] Microbial biotechnology 2021 6 Safety of frozen and dried formulations from migratory locust (<i>Locusta migratoria</i>) as a Novel food pursuant to Regulation (EU) 2015/2283. [null null, Dominique Turck, Jacqueline Castenmiller, Stefaan De Henauw, Karen Ildico Hirsch-Ernst, John Kearney, Alexandre Maciuk, Inge Mangelsdorf, Harry J McArdle, Androniki Naska, Carmen Pelaez, Kristina Pentieva, Alfonso Siani, Frank Thies, Sophia Tsabouri, Marco Vinceti, Francesco Cubadda, Thomas Frenzel, Marina Heinonen, Rosangela Marchelli, Monika Neuhäuser-Berthold, Morten Poulsen, Miguel Prieto Maradona, Josef Rudolf Schlatter, Henk van Loveren, Domenico Azzollini, Helle Katrine Knutsen] EFSA journal. European Food Safety Authority 2021 7 Effect of Substrates' Compliance on the Jumping Mechanism of <i>Locusta migratoria</i>. [Xiaojuan Mo, Donato Romano, Marco Miraglia, Wenjie Ge, Cesare Stefanini] Frontiers in bioengineering and biotechnology 2020 8 Assembling large genomes: analysis of the stick insect (Clitarchus hookeri) genome reveals a high repeat content and sex-biased genes associated with reproduction. [Chen Wu, Victoria G Twort, Ross N Crowhurst, Richard D Newcomb, Thomas R Buckley] BMC genomics 2017 9 Applications of EcR gene switch technology in functional genomics. [Venkata S Tavva, Subba R Palli, Randy D Dinkins, Glenn B Collins] Archives of insect biochemistry and physiology 2007 10 Development of a tightly regulated and highly inducible ecdysone receptor gene switch for plants through the use of retinoid X receptor chimeras. [Venkata S Tavva, Randy D Dinkins, Subba R Palli, Glenn B Collins] Transgenic research 2007 특허 (총 0건)
특허 No. 출원명 발명자 출원일자 관련된 특허정보가 없습니다. 전통지식(문헌/구전) (총 1건)
전통지식(문헌/구전) No. 구분 이용용도 이용지식 1 구전 약용 해독제에는 볶아서 가루로 만들어 상처에 바르거나 물에 풀어서 먹음 -
표본 (총102건)
표본 표본번호 학명/국명 채집지/채집일 표본유형 표본 점수 NIBRIN0000327201 Locusta migratoria migratoria Linnaeus, 1758" / 풀무치 부산광역시 사... 일웅도 / 2008-10-17 건조표본 1건 NIBRIN0000327202 Locusta migratoria migratoria Linnaeus, 1758" / 풀무치 부산광역시 사... 일웅도 / 2008-10-17 건조표본 1건 NIBRIN0000327203 Locusta migratoria migratoria Linnaeus, 1758" / 풀무치 부산광역시 사... 일웅도 / 2008-10-17 건조표본 1건 NIBRIN0000428958 Locusta migratoria migratoria Linnaeus, 1758" / 풀무치 제주특별자치도... 1100고 / 2009-09-20 건조표본 1건 NIBRIN0000493657 Locusta migratoria migratoria Linnaeus, 1758" / 풀무치 전라남도 완도... 생일도 / 2011-06-05 건조표본 1건 NIBRIN0000493660 Locusta migratoria migratoria Linnaeus, 1758" / 풀무치 전라남도 고흥... / 2011-05-18 건조표본 1건 NIBRIN0000493662 Locusta migratoria migratoria Linnaeus, 1758" / 풀무치 전라남도 고흥... / 2011-05-21 건조표본 1건 NIBRIN0000497534 Locusta migratoria migratoria Linnaeus, 1758" / 풀무치 제주특별자치도... 용수저수지 / 2011-08-20 건조표본 1건 NIBRIN0000497535 Locusta migratoria migratoria Linnaeus, 1758" / 풀무치 제주특별자치도... 농남봉 / 2011-09-24 건조표본 1건 NIBRIN0000565427 Locusta migratoria migratoria Linnaeus, 1758" / 풀무치 부산광역시 영... / 2000-11-14 건조표본 1건 소재 (총26건)
소재 표본번호 학명/국명 채집지/채집일 표본유형 표본 점수 NIBRGR0000166360 Locusta migratoria migratoria Linnaeus, 1758 / 풀무치 경상북도 울릉... 울릉도 / 2014-08-21 조직 1건 NIBRGR0000166491 Locusta migratoria migratoria Linnaeus, 1758 / 풀무치 경상북도 울릉... 울릉도 / 2014-08-21 조직 1건 NIBRGR0000166492 Locusta migratoria migratoria Linnaeus, 1758 / 풀무치 경상북도 울릉... 울릉도 / 2014-08-21 조직 1건 NIBRGR0000166493 Locusta migratoria migratoria Linnaeus, 1758 / 풀무치 경상북도 울릉... 울릉도 / 2014-08-21 조직 1건 NIBRGR0000193227 Locusta migratoria migratoria Linnaeus, 1758 / 풀무치 충청남도 태안... 가의도 / 2015-09-08 조직 1건 NIBRGR0000395496 Locusta migratoria migratoria Linnaeus, 1758 / 풀무치 경기도 포천시... / 2016-09-20 조직 1건 NIBRGR0000395499 Locusta migratoria migratoria Linnaeus, 1758 / 풀무치 경기도 포천시... / 2016-09-20 조직 1건 NIBRGR0000395502 Locusta migratoria migratoria Linnaeus, 1758 / 풀무치 경기도 포천시... / 2016-09-20 조직 1건 NIBRGR0000396771 Locusta migratoria migratoria Linnaeus, 1758 / 풀무치 인천광역시 옹... 가덕도 / 2016-10-12 조직 1건 NIBRGR0000396772 Locusta migratoria migratoria Linnaeus, 1758 / 풀무치 인천광역시 옹... 가덕도 / 2016-10-12 조직 1건 -
염기서열 (0건)
염기서열 학명 국명 마커명 프라이머세트명 출처 조회된 자료가 없습니다. 계통수 (0건)
계통수 연구제목 마커명 노드수 조회된 자료가 없습니다. 미토콘드리아 유전체 (0건)
계통수 학명 국명 설명 길이 조회된 자료가 없습니다. 엽록체 유전체 (0건)
엽록체 학명 국명 설명 길이 조회된 자료가 없습니다. SNP (0건)
SNP 학명 국명 설명 길이 조회된 자료가 없습니다. Microsatellite (0건)
전체 분류 제목 설명 길이 조회된 자료가 없습니다. -
-
조회된 데이터가 없습니다.
-
-
영상 플레이어
특허 정보
용어 사전
출처 :







